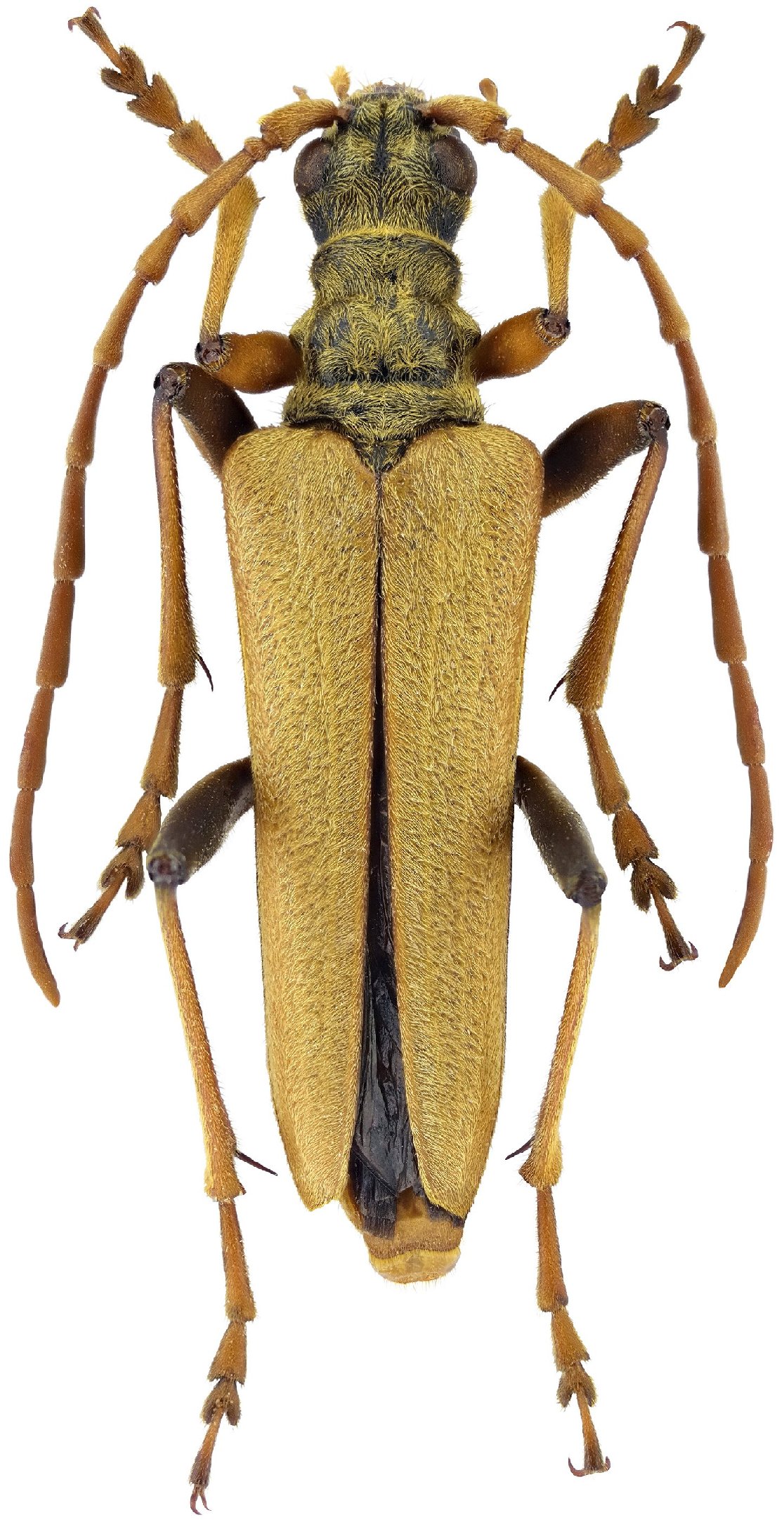
_Pic_MNHN_Tava_pic_now_Stenocorus_auricomus_latus.jpg)
Toxotus insitivus latus Pic Specimen Type: holotype Institution: MNHN Museum of Natural History Paris, France Photographer: Gerard Tavakilian Collection Location: Turkey 59381
|
 15 km SE Tatvan, Kavussahap Daglari, Bitlis Province E Turkey Jacek Kurzawa.jpg)
Sex: m Photographer: Jacek Kurzawa Collection Location: 15 km SE Tatvan, Kavussahap Daglari, Bitlis Province E Turkey 80024
|