New Search Family, Subfamily and Tribe List

SubFamily Cerambycinae

Tribe Callidiopini
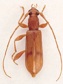
Tethionea lassehubweberi Yokoi 2015

Specimen Type: holotype
Sex: m
Institution: NMST National Science Museum (Nat. Hist.), Tokyo, Japan
Determiner: Elytra, Tokyo
Collection Location: Lombok, Indonesia
59369

130425