_Yokoi_NMST_Mangsit_Lombok_Indonesia.jpg)
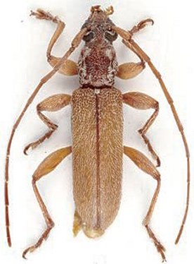
Specimen Type: holotype Sex: m Institution: NMST National Science Museum (Nat. Hist.), Tokyo, Japan Determiner: Elytra Collection Location: Mangsit, Lombok, Indonesia 58887
|
_Yokoi_coll_Mangsit_Lombok_Indonesia.jpg)
Specimen Type: paratype Sex: f Institution: NMST National Science Museum (Nat. Hist.), Tokyo, Japan Determiner: Elytra Collection Location: Mangsit, Lombok, Indonesia 58888
|