New Search Family, Subfamily and Tribe List

SubFamily Cerambycinae

Tribe Clytini
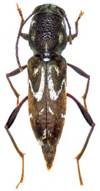
Calanthemis alembai Schmid 2016

Specimen Type: holotype
Sex: f
Institution: Puchner Collection
Photographer: Herbert Schmid
Collection Location: Lualaba, Zilo, Katanga, RD Congo
58875

130425