New Search Family, Subfamily and Tribe List

SubFamily Cerambycinae

Tribe Clytini
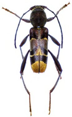
Calanthemis wundanyiensis Schmid 2016

Specimen Type: holotype
Sex: m
Institution: Hovorka Collection
Photographer: Herbert Schmid
Collection Location: Ngangao Forest, Wundanyi, Kenya
58878

130425