New Search Family, Subfamily and Tribe List

SubFamily Cerambycinae

Tribe Thraniini
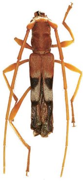
Elongatomerionoeda luzonica Vives & Niisato 2014

Specimen Type: holotype
Sex: m
Institution: Vives Collection
Collection Location: Aurora, E Luzon, Philippines
58956

130425