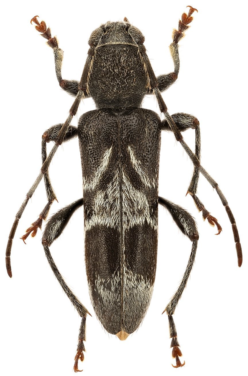
_Rapuzzi_coll_Sama_Castelsaraceno_diLatronico_Balilicata_Potenza_Prov_Italy.jpg)
Specimen Type: holotype Sex: m Institution: Rapuzzi Collection Collection Location: Castelsaraceno di Latronico, Balilicata, Potenza Province, Italy 58862
|
 La Maddalena restaurant, Abriola, Potenza Province, Basilicata, Italy Lech Kruszelnicki.jpg)
Specimen Type: paratype Sex: p Photographer: Lech Kruszelnicki Collection Location: La Maddalena restaurant, Abriola, Potenza Province, Basilicata, Italy 78848
|