New Search Family, Subfamily and Tribe List

SubFamily Lepturinae

Tribe Encyclopini
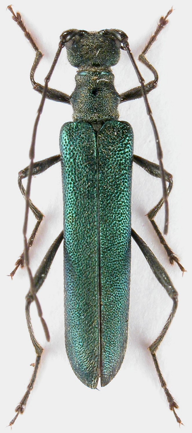
Encyclops obscurellus Holzschuh 2015

Specimen Type: holotype
Sex: f
Institution: Holzschuh Collection
Photographer: Luboš Dembický
Collection Location: 50 km W Judian, Yunnan Province, China
58958

130425