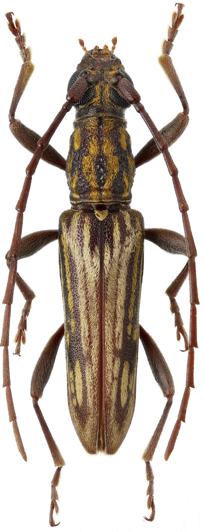
_Holz_coll_env_Luang_Phrabang_Laos_Dembicky_pic.jpg)
Specimen Type: holotype Sex: m Institution: Holzschuh Collection Photographer: Lubo Dembický Collection Location: environs of Luang Phrabang, Laos 58952
|
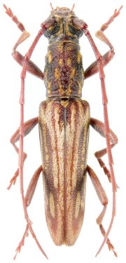
_Holzschuh_Luang_Phrabang_Laos_Mirosh_coll.jpg)
Sex: m Institution: Miroshnikov Collection Photographer: Miroshnikov Collection Location: Luang Phrabang, Laos 70785
|