New Search Family, Subfamily and Tribe List

SubFamily Cerambycinae

Tribe Clytini
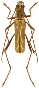
Demonax matyasi Viktora 2016

Specimen Type: holotype
Sex: m
Institution: Viktora Collection
Determiner: Folia Heyrovskyana
Collection Location: Guquancun, SW Fugong, Gooligong Shan mtns, Yunnan Province, China
58929

130425