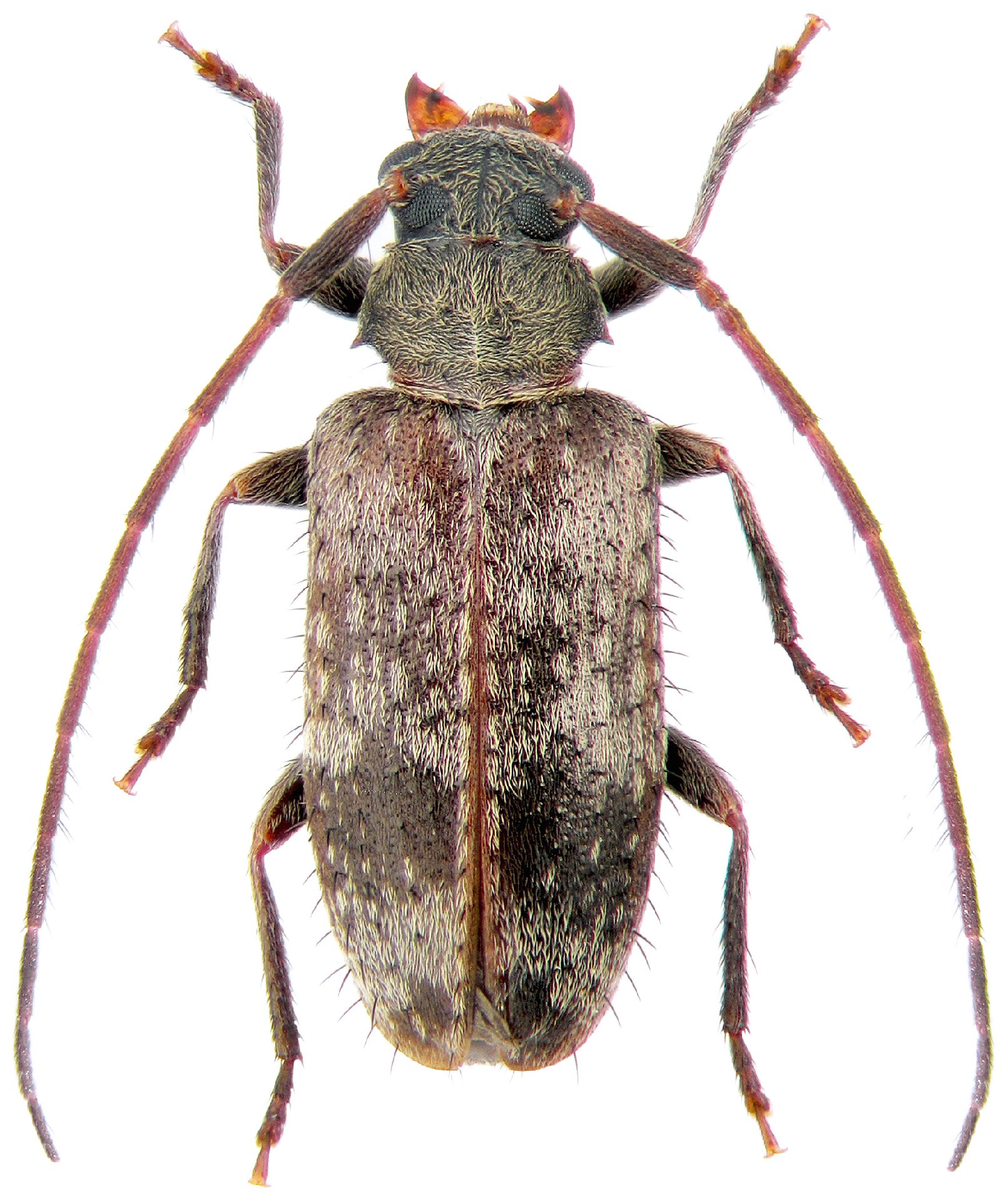
_Danilevsky_coll_Merkushevka_Chernigovka_Dist_Primorsky_Reg_Russia.jpg)
Specimen Type: holotype Sex: m Institution: Danilevsky Collection Collection Location: Merkushevka, Chernigovka District, Primorsky Region, Russia 58986
|
_Danilevsky_Ivanov_coll_Merkushevka_Chernigovka_Dist_Primorsky_Reg_Russia.jpg)
Specimen Type: paratype Sex: f Institution: Ivanov Collection Collection Location: Merkushevka, Chernigovka District, Primorsky Region, Russia 58987
|

Photographer: Kirill V. Makarov Collection Location: vic Lazo Village, Lazovsky District, Primorsky Krai, Russian Far East 81340
|
|