New Search Family, Subfamily and Tribe List

SubFamily Lamiinae

Tribe Pogonocherini
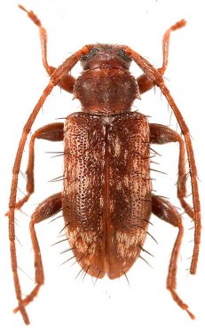
Exocentrus gemellatus Holzschuh 2015

Specimen Type: holotype
Sex: m
Institution: Holzschuh Collection
Photographer: Luboš Dembický
Collection Location: 15 km S Kotagiri, Nilgiri Hills, Tamil Nadu, S India
58988

130425