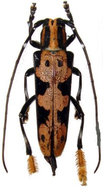
_Huang_Lin_IZAS_Lianhuaping_Mt_Leigongshan_Leishan_Guizhou_China.jpg)
Specimen Type: holotype Sex: m Institution: IZAS Zoological Institute, Chinese Academy of Sciences, Beijing, China Photographer: Meiying Lin Collection Location: Lianhuaping, Mt Leigongshan, Leishan, Guizhou Province, China 58729
|
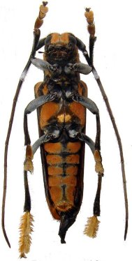
_Huang_Lin_IZAS_Lianhuaping_Mt_Leigongshan_Leishan_Guizhou_China.jpg)
Specimen Type: holotype Sex: m Institution: IZAS Zoological Institute, Chinese Academy of Sciences, Beijing, China Photographer: Meiying Lin Collection Location: Lianhuaping, Mt Leigongshan, Leishan, Guizhou Province, China 58730
|
_Huang_Lin_IZAS_Lianhuaping_Mt_Leigongshan_Leishan_Guizhou_China.jpg)
Specimen Type: paratype Sex: f Institution: IZAS Zoological Institute, Chinese Academy of Sciences, Beijing, China Photographer: Meiying Lin Collection Location: Lianhuaping, Mt Leigongshan, Leishan, Guizhou Province, China 58731
|
_Huang_Lin_IZAS_Lianhuaping_Mt_Leigongshan_Leishan_Guizhou_China.jpg)
Specimen Type: paratype Sex: f Institution: IZAS Zoological Institute, Chinese Academy of Sciences, Beijing, China Photographer: Meiying Lin Collection Location: Lianhuaping, Mt Leigongshan, Leishan, Guizhou Province, China 58732
|
|