New Search Family, Subfamily and Tribe List

SubFamily Cerambycinae

Tribe Amphoecini
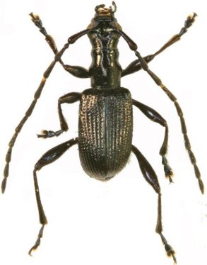
Amphoecus wanati Vives & Sudre 2016

Specimen Type: holotype
Sex: m
Institution: Museum of Natural History of Wroclaw
Photographer: Eduard Vives
Determiner: Polish Journal of Entomology
Collection Location: Pic du Pin, New Caledonia
58468

130425