New Search Family, Subfamily and Tribe List

SubFamily Cerambycinae

Tribe Clytini
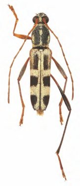
Rhaphuma discreta Viktora 2015

Specimen Type: holotype
Sex: m
Institution: Viktora Collection
Determiner: Folia Heyrovskyana, Praha
Collection Location: Soppong village, Mae Hong Son Province, NW Thailand
58799

130425