_Viktora_NMPC_Nong_Fa_Dong_Amphan_Annam_Highlands_Attapeu_Laos.jpg)
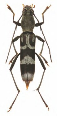
Specimen Type: holotype Sex: m Institution: NMPC National Museum of Natural History, Prague, Czech Republic Determiner: Folia Heyrovskyana, Praha Collection Location: Nong Fa, Dong Amphan, Annam Highlands, Attapeu_Province, Laos 58575
|
_Viktora_NMPC_Nong_Fa_Dong_Amphan_Annam_Highlands_Attapeu_Laos.jpg)
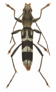
Specimen Type: paratype Sex: f Institution: NMPC National Museum of Natural History, Prague, Czech Republic Determiner: Folia Heyrovskyana, Praha Collection Location: Nong Fa, Dong Amphan, Annam Highlands, Attapeu_Province, Laos 58576
|