New Search Family, Subfamily and Tribe List

SubFamily Cerambycinae

Tribe Clytini
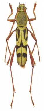
Demonax moraveci Viktora 2015

Specimen Type: holotype
Sex: m
Institution: Viktora Collection
Determiner: Folia Heyrovskyana, Praha
Collection Location: Khun Nan National Park, Nan Province, NE Thailand
58574

130425