New Search Family, Subfamily and Tribe List

SubFamily Cerambycinae

Tribe Clytini
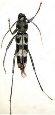
Demonax globicollis Dauber 2016

Specimen Type: holotype
Sex: m
Institution: MZBI Museum Zoologicum Bogoriense, Bogor, Indonesia
Photographer: Fritz Gusenleitner
Collection Location: Bukit Bangkirai, Kalimantan, Timur, Indonesia
58565

130425