New Search Family, Subfamily and Tribe List

SubFamily Cerambycinae

Tribe Clytini
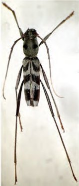
Demonax punctatus Dauber 2016

Photographer: Fritz Gusenleitner
Collection Location: Bukit Bangkirai, Kalimantan, Timur, Indonesia
58586

130425