_Dauber_MZB_Bukit_Bangkirai_Kalimantan_Timur_Indonesia_Fritz_Gusenleitner_pic.jpg)
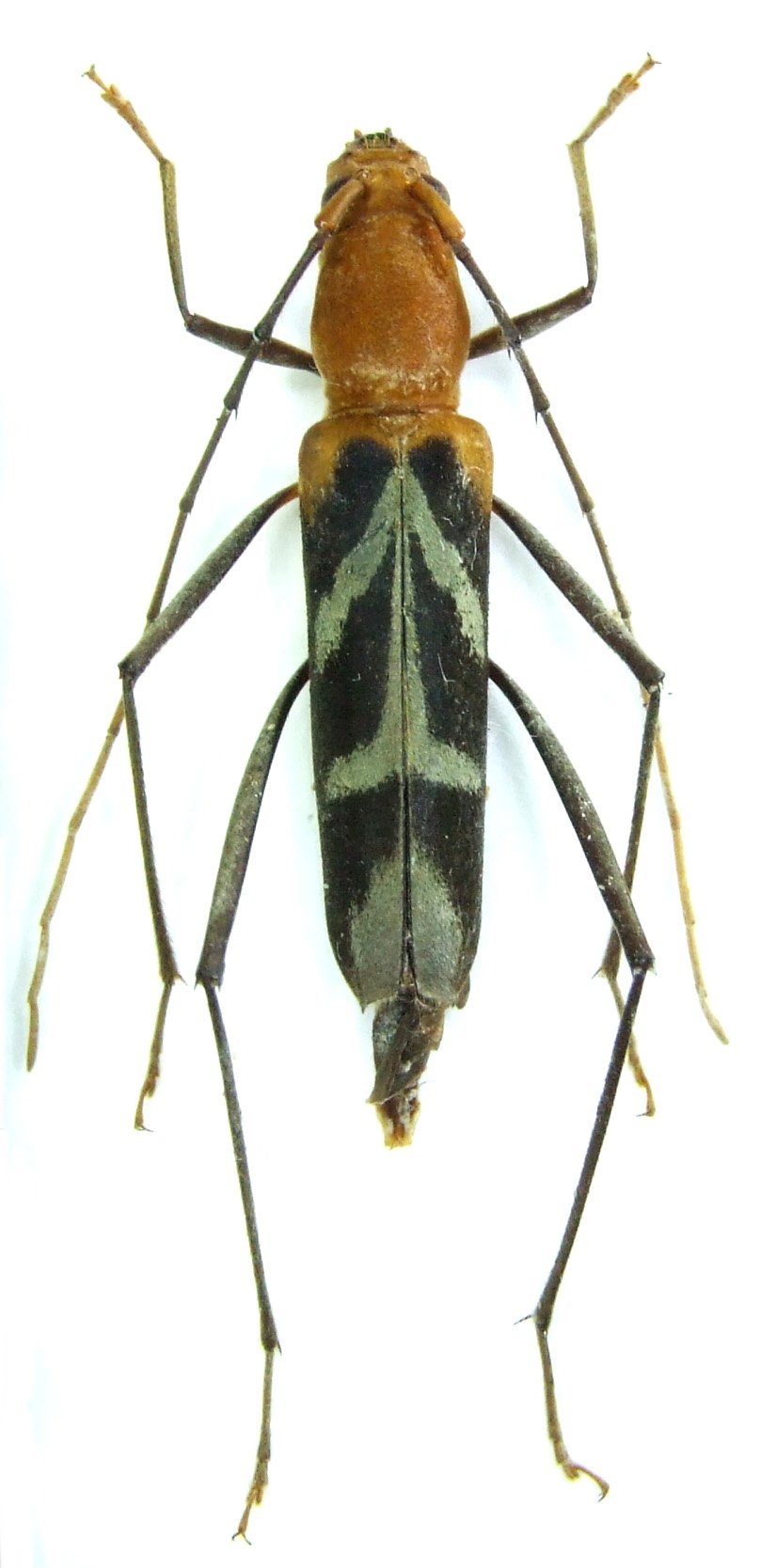
Specimen Type: holotype Sex: f Institution: MZBI Museum Zoologicum Bogoriense, Bogor, Indonesia Photographer: Fritz Gusenleitner Collection Location: Bukit Bangkirai, Kalimantan, Timur, Indonesia 58587
|

Photographer: Francesco Ruggiero Collection Location: Mt Bawang, W Kalimantan, Indonesia 90965
|