_Holz_Coll_Shaanxi_China.jpg)
Specimen Type: holotype Sex: m Institution: Holzschuh Collection Determiner: Zeistschrift AEG Collection Location: Shaanxi Province, China 58554
|
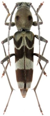
_Holz_Coll_Shaanxi_China.jpg)
Specimen Type: paratype Sex: f Institution: Holzschuh Collection Determiner: Zeistschrift AEG Collection Location: Shaanxi Province, China 58555
|