New Search Family, Subfamily and Tribe List

SubFamily Lamiinae

Tribe Pteropliini
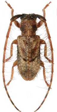
Pseudomiccolamia exiguua Holzschuh 2013

Specimen Type: holotype
Sex: m
Institution: Holzschuh Collection
Determiner: Zeistschrift AEG
Collection Location: Phongsaly, Phongsaly Province, N Laos
58788

130425