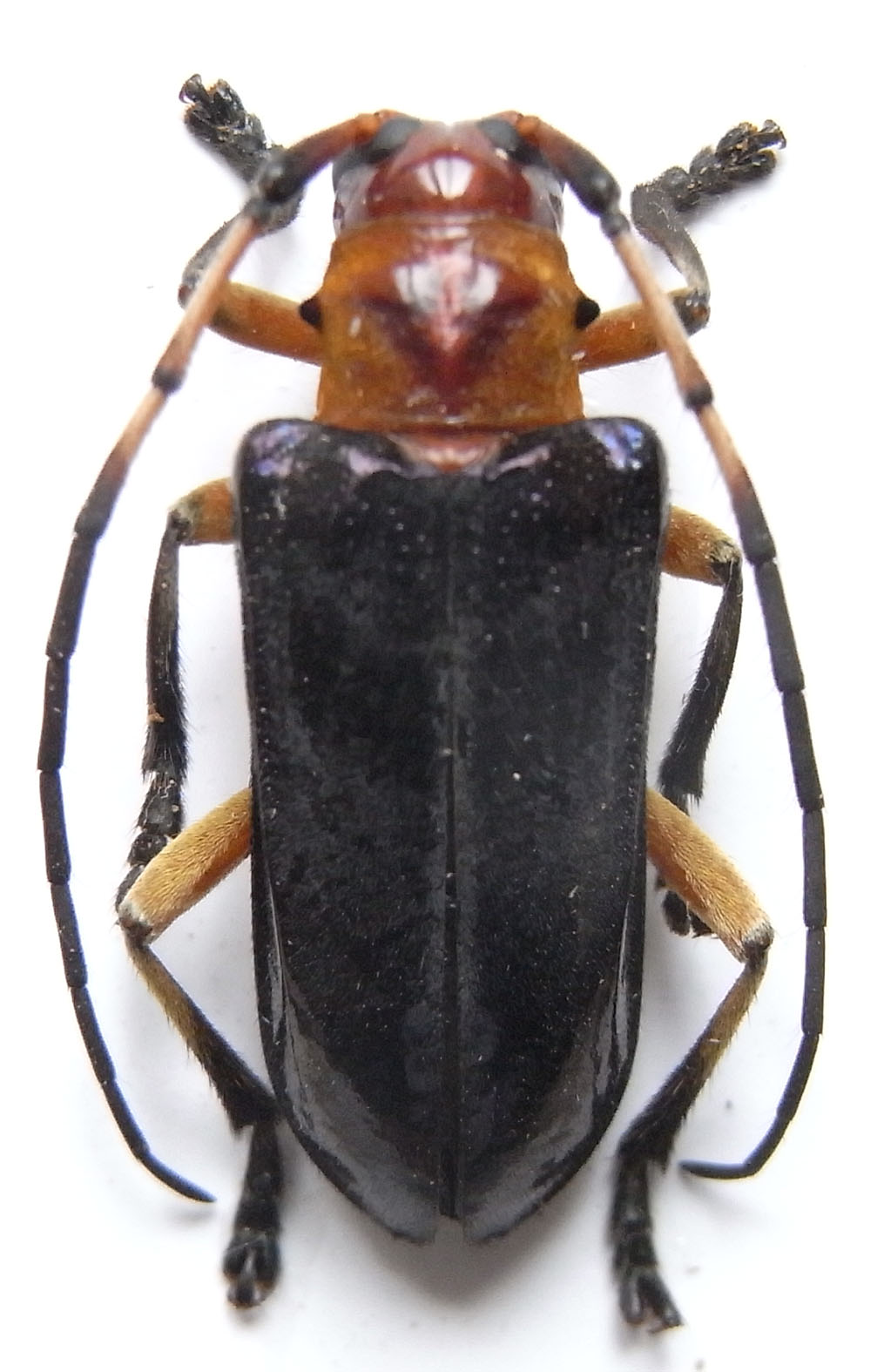
_Holz_Coll_Ban_Saluei.jpg)
Specimen Type: holotype Sex: m Institution: Holzschuh Collection Determiner: Zeistschrift AEG Collection Location: Ban Saluei, Mt Phou Pan, Hua Phan Province, Laos 58735
|

Photographer: Xavier Gouverneur Collection Location: Hua Phan, N Laos 78310
|
 Holz Hua Phan Province, Laos XG pic coll.jpg)
Sex: m Institution: Gouverneur Collection Photographer: Xavier Gouverneur Collection Location: Hua Phan Province, Laos 97145
|
 Holz Hua Phan Province, Laos XG pic coll.jpg)
Sex: m Institution: Gouverneur Collection Photographer: Xavier Gouverneur Collection Location: Hua Phan Province, Laos 97146
|
 Holz Yen Bai Province, Vietnam XG pic coll.jpg)
Sex: f Institution: Gouverneur Collection Photographer: Xavier Gouverneur Collection Location: Yen Bai, Vietnam 97147
|
 Holz Yen Bai Province, Vietnam XG pic coll.jpg)
Sex: f Institution: Gouverneur Collection Photographer: Xavier Gouverneur Collection Location: Yen Bai, Vietnam 97148
|