_Holz_Coll_Ban_Saluei.jpg)
Specimen Type: holotype Sex: m Institution: Holzschuh Collection Determiner: Zeistschrift AEG Collection Location: Ban Saluei, Mt Phou Pan, Hua Phan Province, Laos 58592
|
_Holz_Coll_Ban_Saluei.jpg)
Specimen Type: paratype Sex: f Institution: Holzschuh Collection Determiner: Zeistschrift AEG Collection Location: Ban Saluei, Mt Phou Pan, Hua Phan Province, Laos 58593
|
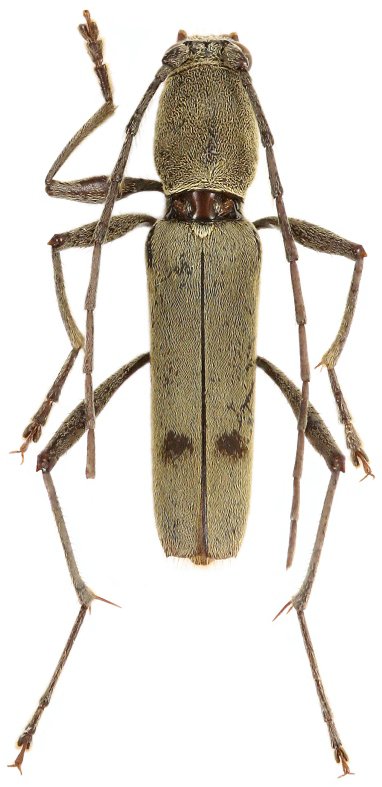
_Holz_Coll_Ban_Saluei.jpg)
Specimen Type: paratype Sex: f Institution: Holzschuh Collection Determiner: Zeistschrift AEG Collection Location: Ban Saluei, Mt Phou Pan, Hua Phan Province, Laos 58594
|
_Holzschuh_Viktora_coll_Ban Saluei_Mt_Phou_Pan_Hua_Phan_Laos.jpg)
Specimen Type: paratype Sex: m Institution: Viktora Collection Photographer: Petr Viktora Collection Location: Ban Saluei, Mt Phou Pan, Hua Phan Province, Laos 75071
|
|