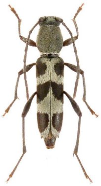
_Holz_Coll_Ban_Saluei.jpg)
Specimen Type: holotype Sex: m Institution: Holzschuh Collection Determiner: Zeistschrift AEG Collection Location: Ban Saluei, Mt Phou Pan, Hua Phan Province, Laos 58550
|
_Holz_Coll_Ban_Saluei.jpg)
Specimen Type: paratype Sex: f Institution: Holzschuh Collection Determiner: Zeistschrift AEG Collection Location: Ban Saluei, Mt Phou Pan, Hua Phan Province, Laos 58551
|