New Search Family, Subfamily and Tribe List

SubFamily Cerambycinae

Tribe Clytini
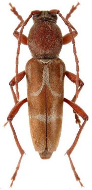
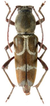
Chlorophorus diversicolor Holzschuh 2016

Specimen Type: holotype
Sex: m
Institution: Holzschuh Collection
Collection Location: Ban Saluei, Mt Phou Pan, Hua Phan Province, Laos
58532


Specimen Type: paratype
Sex: f
Collection Location: Ban Saluei, Mt Phou Pan, Hua Phan Province, Laos
58533

130425