New Search Family, Subfamily and Tribe List

SubFamily Cerambycinae

Tribe Stenopterini
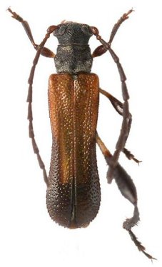
Microdebilissa distans Holzschuh 2014

Specimen Type: holotype
Sex: m
Institution: Holzschuh Collection
Determiner: Zeistschrift AEG
Collection Location: Ranau, Sabah, Borneo
58753

130425