_Holz_Coll_Poring_Springs_Sabah_Borneo.jpg)
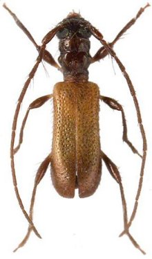
Specimen Type: holotype Sex: m Institution: Holzschuh Collection Determiner: Zeistschrift AEG Collection Location: Poring Springs, Sabah, Borneo 58812
|
_Holz_Coll_Poring_Springs_Sabah_Borneo.jpg)
Specimen Type: paratype Sex: f Institution: Holzschuh Collection Determiner: Zeistschrift AEG Collection Location: Poring Springs, Sabah, Borneo 58813
|