New Search Family, Subfamily and Tribe List

SubFamily Cerambycinae

Tribe Stenhomalini
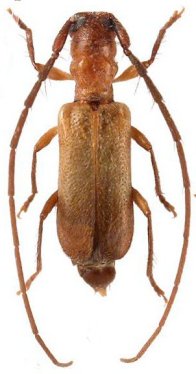
Stenhomalus weigeli Holzschuh 2014

Specimen Type: holotype
Sex: m
Institution: Holzschuh Collection
Determiner: Zeistschrift AEG
Collection Location: Poring Springs, Sabah, Borneo
58815

130425