_Holz_CHS_Nam_Tok_W_Thailand.jpg)
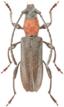
Specimen Type: holotype Sex: m Institution: Holzschuh Collection Photographer: Lubo Dembický Determiner: Les Cahiers Magellanes Collection Location: Nam Tok, West Thailand 58389
|
_Holz_CHS_Nam_Tok_W_Thailand.jpg)
Specimen Type: paratype Sex: f Institution: Holzschuh Collection Photographer: Lubo Dembický Determiner: Les Cahiers Magellanes Collection Location: Nam Tok, West Thailand 58390
|