New Search Family, Subfamily and Tribe List

SubFamily Cerambycinae

Tribe Molorchini
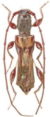
Molorchus terminatus (Holzschuh, 2015)

Glaphyra terminata Holzschuh
Specimen Type: holotype
Sex: m
Institution: Holzschuh Collection
Photographer: Luboš Dembický
Determiner: Les Cahiers Magellanes
Collection Location: Kuatun, Fukien Province, China
58413

130425