_Holz_CHS_Lueyang_env_Shaanxi_Prov_China.jpg)
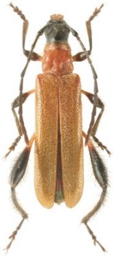
Specimen Type: holotype Sex: m Institution: Holzschuh Collection Photographer: Lubo Dembický Determiner: Les Cahiers Magellanes Collection Location: Lueyang environs, Shaanxi Province, China 58415
|
_Holz_CHS_Lueyang_env_Shaanxi_Prov_China.jpg)
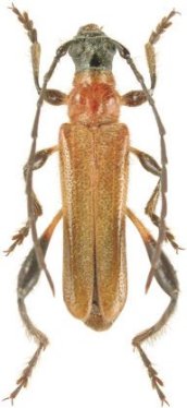
Specimen Type: paratype Sex: f Institution: Holzschuh Collection Photographer: Lubo Dembický Determiner: Les Cahiers Magellanes Collection Location: Lueyang environs, Shaanxi Province, China 58416
|