_Gal_SS_MNKM_Huaico_nr_Potrerillo_delGuendaSC_Bol.jpg)
Specimen Type: holotype Sex: m Institution: MNKM Museo de Hist Nat Noel Kempff Mercado Santa Cruz de la Sierra, Bolivia Photographer: Antonio Santos-Silva Collection Location: Huaico, near Potrerillo del Guenda, Santa Cruz, Bolivia 55515
|
_Gal_SS_MNKM_Huaico_nr_Potrerillo_delGuendaSC_Bol.jpg)
Specimen Type: holotype Sex: m Institution: MNKM Museo de Hist Nat Noel Kempff Mercado Santa Cruz de la Sierra, Bolivia Photographer: Antonio Santos-Silva Collection Location: Huaico, near Potrerillo del Guenda, Santa Cruz, Bolivia 55516
|
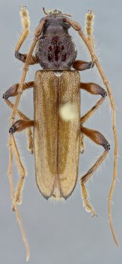
_Gal_SS_MNKM_Huaico_nr_Potrerillo_delGuendaSC_Bol.jpg)
Specimen Type: holotype Sex: m Institution: MNKM Museo de Hist Nat Noel Kempff Mercado Santa Cruz de la Sierra, Bolivia Photographer: Antonio Santos-Silva Collection Location: Huaico, near Potrerillo del Guenda, Santa Cruz, Bolivia 55517
|
|