_LeConte_MCZ.jpg)
Specimen Type: lectotype Sex: m Institution: MCZ Museum of Comparative Zoology, Harvard University, Cambridge, MA, USA Photographer: P. Naskrecki, P. Perkins, and B. Farrell Collection Location: Sonora, Mexico 3156
|
_LeConte_MCZ.jpg)
Specimen Type: lectotype Sex: m Institution: MCZ Museum of Comparative Zoology, Harvard University, Cambridge, MA, USA Photographer: P. Naskrecki, P. Perkins, and B. Farrell Collection Location: Sonora, Mexico 3157
|
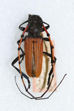
_LeConte_MCZ.jpg)
Specimen Type: lectotype Sex: m Institution: MCZ Museum of Comparative Zoology, Harvard University, Cambridge, MA, USA Photographer: P. Naskrecki, P. Perkins, and B. Farrell Collection Location: Sonora, Mexico 3158
|
_LeConte_MCZ.jpg)
Specimen Type: lectotype Sex: m Institution: MCZ Museum of Comparative Zoology, Harvard University, Cambridge, MA, USA Photographer: P. Naskrecki, P. Perkins, and B. Farrell Collection Location: Sonora, Mexico 3154
|
_Schaeffer_USNM_=_T._p._peninsulare.jpg)
Tragidion annulatum var. peninsulare Schaeffer Specimen Type: holotype Institution: NMNH United States National Museum, Washington, DC, USA Photographer: Steve Lingafelter Collection Location: San Felipe, Baja California Sur, Mexico 3155
|
_Linsley_CAS_4605_LGB.jpg)
Tragidion peninsulare californicum Linsley Specimen Type: holotype Sex: f Institution: CAS California Academy of Sciences, San Francisco, CA, USA Photographer: Larry G. Bezark Collection Location: Paradise Valley, Kings River, Kern County, California 20784
|
_LeConte_Swift_photo.jpg)
Sex: f Photographer: Ian Swift 26705
|
_LeConte_Swift_photo.jpg)
Sex: m Photographer: Ian Swift 26706
|
|