New Search Family, Subfamily and Tribe List

SubFamily Cerambycinae

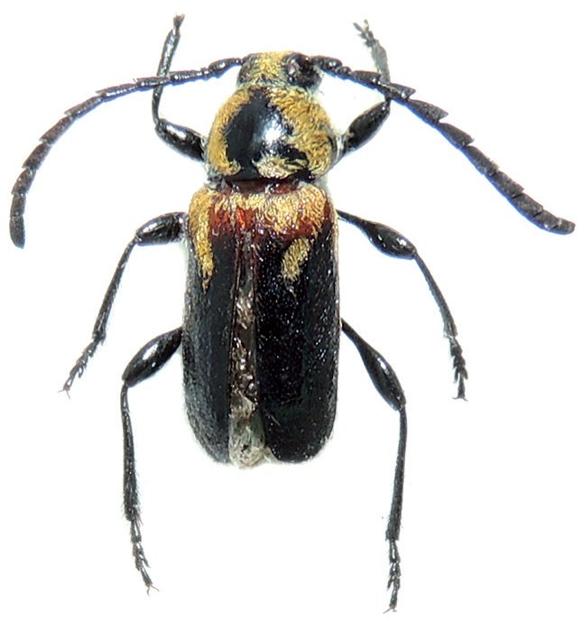
Tribe Trachyderini Trachyderina
Lissonomimus auratopilosus Di Iorio 1998

Specimen Type: holotype
Sex: f
Institution: ODI Di Iorio Collection
Collection Location: Charata, Chaco, Argentina
25183


Photographer: Andrea Weiler
Collection Location: Estancia Montania, Boquerón, Paraguay
64883

130425