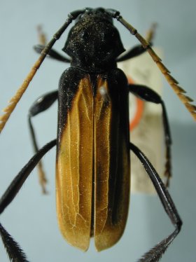
_Waterh_BMNH_Sarayacu_Pastaza_EC_LGB.jpg)
Specimen Type: holotype Sex: f Institution: BMNH British Museum Natural History, London, UK Photographer: Larry G. Bezark Collection Location: Sarayacu, Pastaza, Ecuador 47245
|
_Waterh_BMNH_Sarayacu_Pastaza_EC_LGB.jpg)
Specimen Type: holotype Sex: f Institution: BMNH British Museum Natural History, London, UK Photographer: Larry G. Bezark Collection Location: Sarayacu, Pastaza, Ecuador 47246
|
_Waterhouse_BMNH_Hespenheide_FTH_Ecuador.jpg)
Specimen Type: holotype Sex: f Institution: BMNH British Museum Natural History, London, UK Photographer: Henry Hespenheide Collection Location: Sarayacu, Pastaza, Ecuador 18301
|

Institution: MZSP Museu de Zoologia da Universidade de São Paulo, Brazil Photographer: Larry G. Bezark Collection Location: Taperinha, Santarem, Para, Brazil 33751
|
|