_Bates_BMNH_JAC_=_Parevander.jpg)
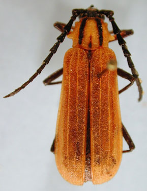
Evander unicolor Bates Specimen Type: holotype Sex: m Institution: BMNH British Museum Natural History, London, UK Photographer: John Chemsak Collection Location: Cachí (13 km SE of Cartago), Cartago, Costa Rica 16661
|
_BCA.jpg)
Institution: BCA Biologia Centrali Americana 11765
|
_CAS.jpg)
Institution: CAS California Academy of Sciences, San Francisco, CA, USA Photographer: Larry G. Bezark 11766
|
|