
Institution: CAS California Academy of Sciences, San Francisco, CA, USA Photographer: Larry G. Bezark 11545
|

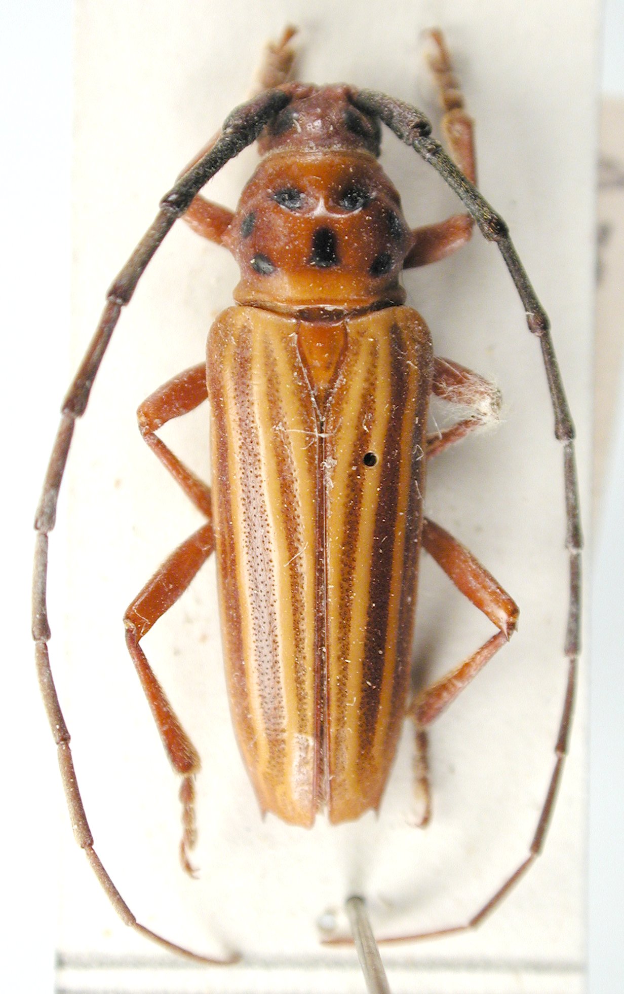
Institution: JCPC Jim Cope Collection, San Jose, California, USA now at CSCA, Sacramento Photographer: Larry G. Bezark Determiner: Ernst Huedeophl Collection Location: Villa Ana, Santa Fe, Argentina 98074
|