 Gray BMNH Colombia Jiri Pirkl pic.jpg)
Specimen Type: holotype Sex: m Institution: BMNH British Museum Natural History, London, UK Photographer: Jiri Pirkl Collection Location: Colombia 76084
|
 Gray BMNH Colombia Jiri Pirkl pic.jpg)
Specimen Type: holotype Sex: m Institution: BMNH British Museum Natural History, London, UK Photographer: Jiri Pirkl Collection Location: Colombia 76085
|
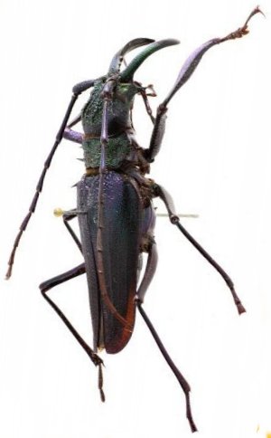
 Gray BMNH Colombia Jiri Pirkl pic.jpg)
Specimen Type: holotype Sex: m Institution: BMNH British Museum Natural History, London, UK Photographer: Jiri Pirkl Collection Location: Colombia 76086
|
 Thomson MNHN Panama now friendii Moure.jpg)
Psalidognathus boucardi Thomson Specimen Type: lectotype Sex: m Institution: MNHN Museum of Natural History Paris, France Photographer: JS Moure Collection Location: Panama 101988
|
 Thomson MNHN Ecuador now friendii Moure.jpg)
Psalidognathus gloriosus Thomson Specimen Type: lectotype Sex: m Institution: MNHN Museum of Natural History Paris, France Photographer: JS Moure Collection Location: Ecuador 101989
|
 Fries NHRS Remedios, Antioquia, Colombia Johannes Bergsten pic.jpg)
Psalidognathus superbus Fries Specimen Type: paralectotype Sex: f Institution: NHRS Naturhistoriska Riksmuseet, Stockholm, Sweden Photographer: Johannes Bergsten Collection Location: Remedios, Antioquia, Colombia 23713
|
 Fries NHRS Remedios, Antioquia, Colombia Johannes Bergsten pic.jpg)
Psalidognathus superbus Fries Specimen Type: paralectotype Sex: f Institution: NHRS Naturhistoriska Riksmuseet, Stockholm, Sweden Photographer: Johannes Bergsten Collection Location: Remedios, Antioquia, Colombia 23714
|
 Fries NHRS Remedios, Antioquia, Colombia Johannes Bergsten pic.jpg)
Specimen Type: paralectotype Sex: f Institution: NHRS Naturhistoriska Riksmuseet, Stockholm, Sweden Photographer: Johannes Bergsten Collection Location: Remedios, Antioquia, Colombia 23717
|
_Colombia_ISRNB_NM.jpg)
Sex: f Institution: IRSNB Royal Belgian Institute of Natural Sciences, Brussels, Belgium Photographer: Noel Mal Collection Location: Colombia 39434
|
_Ibague_Tolima_Colombia_ISRNB_NM.jpg)
Sex: f Institution: IRSNB Royal Belgian Institute of Natural Sciences, Brussels, Belgium Photographer: Noel Mal Collection Location: Ibague, Tolima, Colombia 39435
|
 Gray Colombia Robin.jpg)
Sex: m Photographer: Frédéric Robin Collection Location: Colombia 80551
|
 Gray Ecuador Robin.jpg)
Sex: m Photographer: Frédéric Robin Collection Location: Ecuador 80552
|

Sex: m Institution: IRSNB Royal Belgian Institute of Natural Sciences, Brussels, Belgium Photographer: Noel Mal 39436
|
_Gray_Boyaca_Colombia.jpg)
Sex: f Collection Location: Boyaca, Colombia 23712
|
_Fries_Argentina.jpg)
Sex: m Collection Location: Argentina 23718
|

12587
|

Institution: MNRJ Museu Nacional Universidade do Rio Janeiro, Brazil Photographer: Steve Lingafelter Collection Location: Bolivia 12589
|

12592
|
_Fries_NP_Lord.jpg)
Sex: m Photographer: Nathan P. Lord 42449
|