_Bates_BMNH_JAC_=_Metaleptus_angulatus_(Chevrolat).jpg)
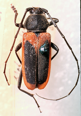
Metaleptus coccinatus Bates Specimen Type: holotype Sex: f Institution: BMNH British Museum Natural History, London, UK Photographer: John Chemsak Collection Location: Santo Domingo, Chontales, Nicaragua 17390
|
_Bates_BMNH_JAC_=_Metaleptus_angulatus_(Chevrolat).jpg)
Metaleptus marginellus Bates Specimen Type: lectotype Sex: m Institution: BMNH British Museum Natural History, London, UK Photographer: John Chemsak Collection Location: Santo Domingo, Chontales, Nicaragua 17392
|