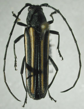
_Chemsak_and_Linsley_CAS_type_16593.jpg)
Specimen Type: holotype Sex: m Institution: CAS California Academy of Sciences, San Francisco, CA, USA Photographer: Larry G. Bezark Collection Location: 8 km NW of Melaque, Jalisco, Mexico 23493
|
_Chemsak_and_Linsley_UCB.jpg)
Specimen Type: paratype Institution: UCB Essig Museum of Entomology, Berkeley, California, USA Photographer: Larry G. Bezark 8767
|