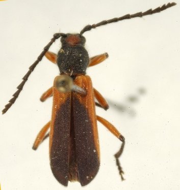
_Linsley_AMNH_Salaices_Chihuahua_Mexico.jpg)
Specimen Type: holotype Sex: m Institution: AMNH American Museum of Natural History, New York, NY, USA Collection Location: Salaices, Chihuahua, Mexico 27757
|
_Linsley_Chihuahua_Mexico_UCB.jpg)
Specimen Type: paratype Institution: UCB Essig Museum of Entomology, Berkeley, California, USA Photographer: Larry G. Bezark Collection Location: Chihuahua, Mexico 7282
|