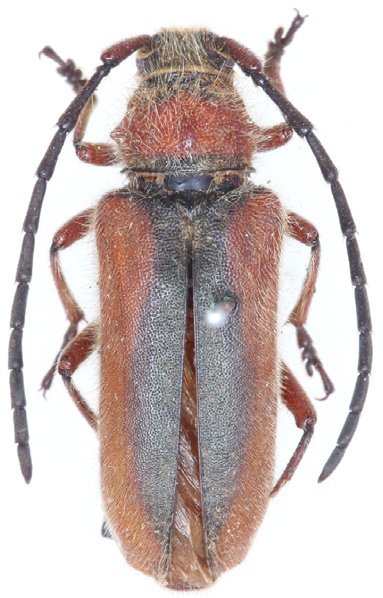
_Bates_BMNH_Valle_de_Mex_LGB.jpg)
Deltaspis rubens Bates Specimen Type: lectotype Sex: m Institution: BMNH British Museum Natural History, London, UK Photographer: Larry G. Bezark Collection Location: Valle de Mexico 46596
|
_Bates_BMNH_JAC.jpg)
Deltaspis rubens Bates Specimen Type: lectotype Sex: m Institution: BMNH British Museum Natural History, London, UK Photographer: John Chemsak Collection Location: Vallee de Mexico 15990
|
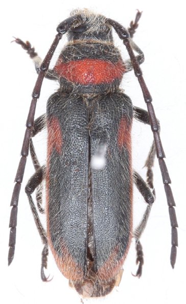
_Bates_BMNH_Canelas_Durango_Mex_now_rubens_LGB.jpg)
Deltaspis fulva Bates Specimen Type: lectotype Sex: m Institution: BMNH British Museum Natural History, London, UK Photographer: Larry G. Bezark Collection Location: Canelas, Durango, Mexico 46597
|
_Bates_BMNH_Canelas_Durango_Mex_now_rubens_LGB.jpg)
Deltaspis fulva Bates Specimen Type: lectotype Sex: m Institution: BMNH British Museum Natural History, London, UK Photographer: Larry G. Bezark Collection Location: Canelas, Durango, Mexico 46598
|
_(m)_Bates_BMNH_JAC_=_Deltaspis_rubens.jpg)
Deltaspis tuberculicollis Bates Specimen Type: lectotype Sex: m Institution: BMNH British Museum Natural History, London, UK Photographer: John Chemsak Collection Location: Tupataro, Guanajuato, Mexico 15996
|
_Michoacan_Mexico_UCB.jpg)
Institution: UCB Essig Museum of Entomology, Berkeley, California, USA Photographer: Larry G. Bezark Determiner: Chemsak Collection Location: (as Deltaspis tuberculicollis) Michoacan, Mexico 6456
|
_(Bates)_Central_Mexico.jpg)
Sex: f Photographer: Bryan Eya Collection Location: Central Mexico 70318
|
_(Bates)_Mexico.jpg)
Sex: f Photographer: Bryan Eya Collection Location: Mexico 70319
|
|