_(f)_Bates_MNHN_JAC.jpg)
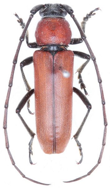
Deltaspis disparilis Bates Specimen Type: lectotype Sex: f Institution: MNHN Museum of Natural History Paris, France Photographer: John Chemsak Collection Location: Canelas, Durango, Mexico 15986
|
_Bates.jpg)
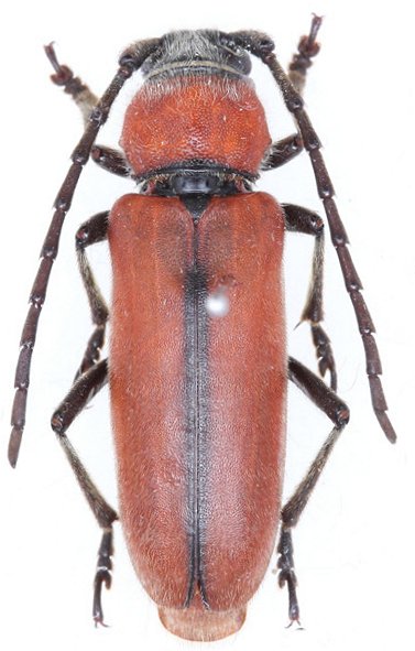
Deltaspis disparilis Bates Specimen Type: paralect Institution: MNHN Museum of Natural History Paris, France Collection Location: Canelas, Durango, Mexico 15987
|

Institution: CSCA California State Collection of Arthropods, Sacramento, California Photographer: Larry G. Bezark Collection Location: Autlan, Jalisco, Mexico 49084
|

Institution: FTH Frank T. Hovore collection (now at California Academy of Sciences) Photographer: Larry G. Bezark 6448
|
_(Bates_3kmW_Autlan_Jalisco_Mexico (2).jpg)
Sex: m Photographer: Bryan Eya Collection Location: 3 km W Autlan, Jalisco, Mexico 70322
|
_(Bates_Guadelajara_Jalisco_Mexico.jpg)
Sex: f Photographer: Bryan Eya Collection Location: Guadalajara, Jalisco, Mexico 70323
|
_(Bates_3kmW_Autlan_Jalisco_Mexico.jpg)
Sex: m Photographer: Bryan Eya Collection Location: 3 km W Autlan, Jalisco, Mexico 70324
|
|