_Casey_USNM_=_Prionus.jpg)
Prionina simplex Casey Specimen Type: holotype Sex: m Institution: NMNH United States National Museum, Washington, DC, USA Collection Location: Kansas 26381
|
_Casey_USNM_=_Prionus.jpg)
Prionina simplex Casey Specimen Type: holotype Sex: m Institution: NMNH United States National Museum, Washington, DC, USA Collection Location: Kansas 26495
|
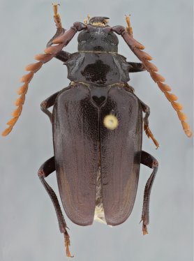
_NMNH_Kansas_SWL.jpg)
Prionina simplex Casey Specimen Type: holotype Sex: m Institution: NMNH United States National Museum, Washington, DC, USA Photographer: Steve Lingafelter Collection Location: Kansas 53428
|
_NMNH_Kansas_SWL.jpg)
Prionina simplex Casey Specimen Type: holotype Sex: m Institution: NMNH United States National Museum, Washington, DC, USA Photographer: Steve Lingafelter Collection Location: Kansas 53429
|
_Linsley_CAS_9864.jpg)
Prionus rhodocerus Linsley Specimen Type: holotype Sex: m Institution: CAS California Academy of Sciences, San Francisco, CA, USA Photographer: Larry G. Bezark Collection Location: Red Creek, Utah 27001
|
_Hovore_CAS_type_14034.jpg)
Prionus linsleyi Hovore Specimen Type: holotype Institution: CAS California Academy of Sciences, San Francisco, CA, USA Photographer: Larry G. Bezark Collection Location: Kansas 21836
|
_SS.jpg)
Sex: m Photographer: Antonio Santos-Silva 53430
|
_SS.jpg)
Sex: m Photographer: Antonio Santos-Silva 53431
|
_UCB.jpg)
Institution: UCB Essig Museum of Entomology, Berkeley, California, USA Photographer: Larry G. Bezark 2635
|

Photographer: Larry G. Bezark 3490
|