New Search Family, Subfamily and Tribe List

SubFamily Lepturinae

Tribe Xylosteini
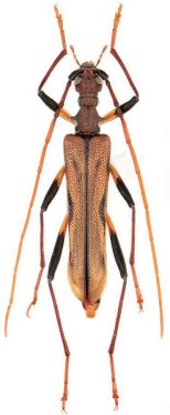
Palaeoxylosteus yadongensis Bi & Ohbayashi 2014

Determiner: Elytra, Tokyo
Collection Location: Yadong, Xizang (Tibet), China
59185


Determiner: Elytra, Tokyo
Collection Location: Yadong, Xizang (Tibet), China
59186

130425