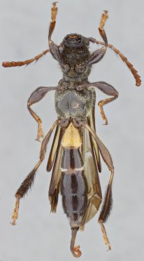
_SS_Bez_CAS_5kmN_Palenque_CH_Mex_SS.jpg)
Odontocera argenteolineata Santos-Silva & Bezark Specimen Type: holotype Sex: f Institution: CAS California Academy of Sciences, San Francisco, CA, USA Photographer: Antonio Santos-Silva Collection Location: 5 km N Palenque, Chiapas, Mexico 54826
|
_SS_Bez_CAS_5kmN_Palenque_CH_Mex_SS.jpg)
Odontocera argenteolineata Santos-Silva & Bezark Specimen Type: holotype Sex: f Institution: CAS California Academy of Sciences, San Francisco, CA, USA Photographer: Antonio Santos-Silva Collection Location: 5 km N Palenque, Chiapas, Mexico 54827
|
_SS_Bez_CAS_5kmN_Palenque_CH_Mex_SS.jpg)
Odontocera argenteolineata Santos-Silva & Bezark Specimen Type: holotype Sex: f Institution: CAS California Academy of Sciences, San Francisco, CA, USA Photographer: Antonio Santos-Silva Collection Location: 5 km N Palenque, Chiapas, Mexico 54828
|
_SS_Bez_CAS_5kmN_Palenque_CH_Mex_SS.jpg)
Odontocera argenteolineata Santos-Silva & Bezark Specimen Type: holotype Sex: f Institution: CAS California Academy of Sciences, San Francisco, CA, USA Photographer: Antonio Santos-Silva Collection Location: 5 km N Palenque, Chiapas, Mexico 54829
|
_(Bez_SS)_FSCA_23kmSE_Morelos_Mexico.jpg)
Sex: m Institution: FSCA Florida State Collection of Arthropods, Gainesville, FL, USA Photographer: Antonio Santos-Silva Collection Location: 23 km SE Morelos, Izabal, Guatemala 74184
|
_(Bez_SS)_FSCA_23kmSE_Morelos_Mexico.jpg)
Sex: m Institution: FSCA Florida State Collection of Arthropods, Gainesville, FL, USA Photographer: Antonio Santos-Silva Collection Location: 23 km SE Morelos, Izabal, Guatemala 74187
|
_(Bez_SS)_FSCA_23kmSE_Morelos_Mexico.jpg)
Sex: m Institution: FSCA Florida State Collection of Arthropods, Gainesville, FL, USA Photographer: Antonio Santos-Silva Collection Location: 23 km SE Morelos, Izabal, Guatemala 74188
|
_(Bez_SS)_FSCA_23kmSE_Morelos_Mexico.jpg)
Sex: m Institution: FSCA Florida State Collection of Arthropods, Gainesville, FL, USA Photographer: Antonio Santos-Silva Collection Location: 23 km SE Morelos, Izabal, Guatemala 74189
|
|