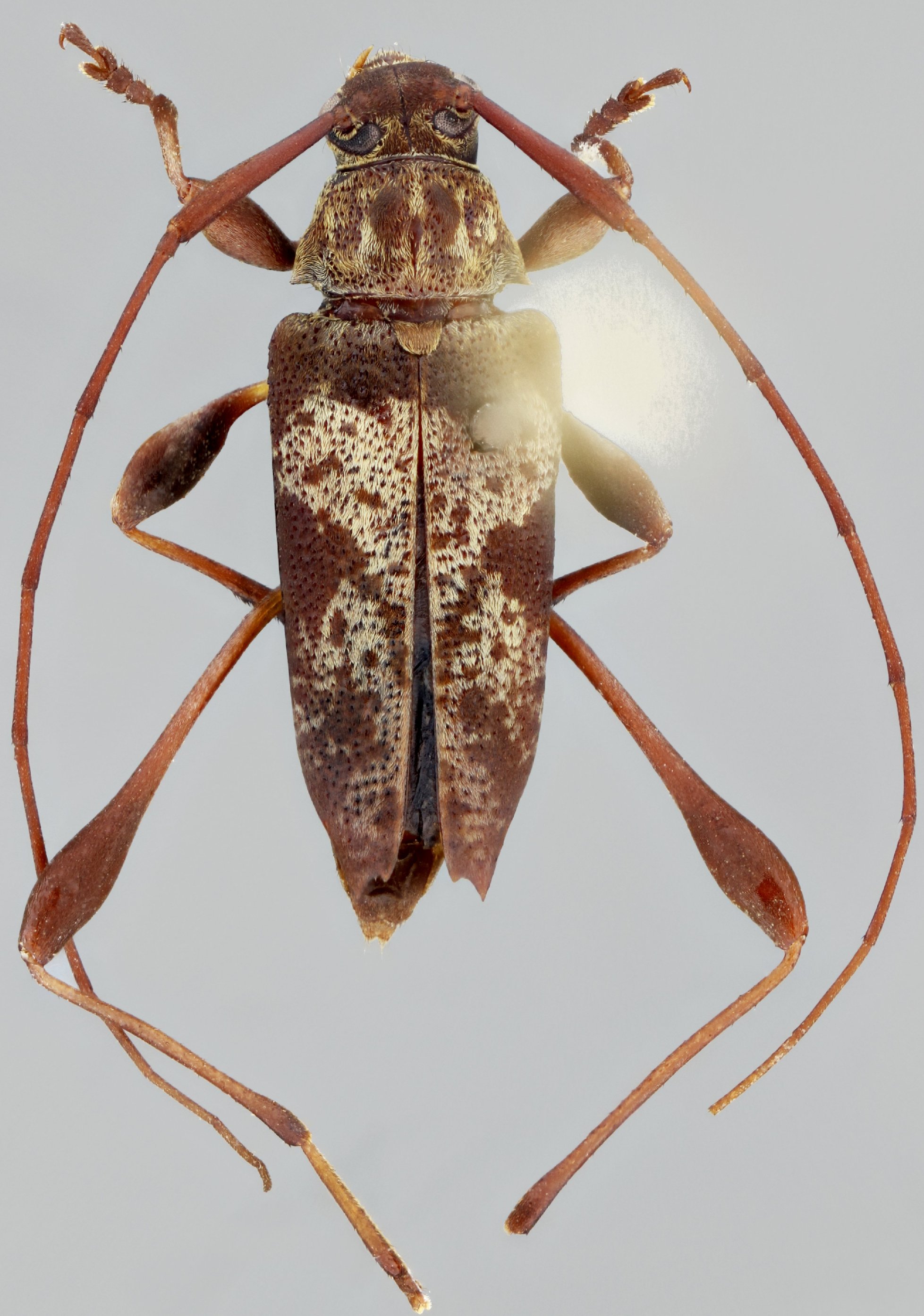
_Schmid_Puchner_coll_Cochabamba_Bol.jpg)
Specimen Type: holotype Sex: m Institution: Puchner Collection Photographer: Herbert Schmid Collection Location: Cochabamba, Bolivia 54824
|
_Schmid_MZSP_La_Cumbre_Vereda_Chirocal_Vall_deCauca_COL_SS.jpg)
Sex: m Institution: MZSP Museu de Zoologia da Universidade de São Paulo, Brazil Photographer: Antonio Santos-Silva Collection Location: La Cumbre, Vereda Chirocal Valle de Cauca, Colombia 69153
|