_Gal_SS_INPA_Rio_Liberdade_Estirao_da_Preta_Ipixuna_AM_Braz.jpg)
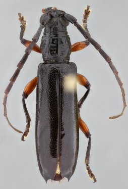
Specimen Type: holotype Sex: m Institution: INPA Instituto Nacional de Pesquisas da Amazonia, Manaus, Brazil Photographer: Antonio Santos-Silva Collection Location: Rio Liberdade, Estirao da Preta, Ipixuna_Amazonas, Brazil 54758
|
_Gal_SS_INPA_Rio_Liberdade_Estirao_da_Preta_Ipixuna_AM_Braz.jpg)
Specimen Type: holotype Sex: m Institution: INPA Instituto Nacional de Pesquisas da Amazonia, Manaus, Brazil Photographer: Antonio Santos-Silva Collection Location: Rio Liberdade, Estirao da Preta, Ipixuna_Amazonas, Brazil 54759
|
_Gal_SS_INPA_Rio_Liberdade_Estirao_da_Preta_Ipixuna_AM_Braz.jpg)
Specimen Type: holotype Sex: m Institution: INPA Instituto Nacional de Pesquisas da Amazonia, Manaus, Brazil Photographer: Antonio Santos-Silva Collection Location: Rio Liberdade, Estirao da Preta, Ipixuna_Amazonas, Brazil 54760
|
_Gal_SS_INPA_Rio_Liberdade_Estirao_da_Preta_Ipixuna_AM_Braz.jpg)
Specimen Type: holotype Sex: m Institution: INPA Instituto Nacional de Pesquisas da Amazonia, Manaus, Brazil Photographer: Antonio Santos-Silva Collection Location: Rio Liberdade, Estirao da Preta, Ipixuna_Amazonas, Brazil 54761
|
|