_SS_Bez_Gal_CAS_16kmN_Orellana_Ec.jpg)
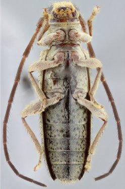
Specimen Type: holotype Sex: m Institution: CAS California Academy of Sciences, San Francisco, CA, USA Photographer: Antonio Santos-Silva Collection Location: 16 km N Orellana, Ecuador 54712
|
_SS_Bez_Gal_CAS_16kmN_Orellana_Ec.jpg)
Specimen Type: holotype Sex: m Institution: CAS California Academy of Sciences, San Francisco, CA, USA Photographer: Antonio Santos-Silva Collection Location: 16 km N Orellana, Ecuador 54713
|
_SS_Bez_Gal_CAS_16kmN_Orellana_Ec.jpg)
Specimen Type: holotype Sex: m Institution: CAS California Academy of Sciences, San Francisco, CA, USA Photographer: Antonio Santos-Silva Collection Location: 16 km N Orellana, Ecuador 54714
|
_SS_Bez_Gal_CAS_16kmN_Orellana_Ec.jpg)
Specimen Type: holotype Sex: m Institution: CAS California Academy of Sciences, San Francisco, CA, USA Photographer: Antonio Santos-Silva Collection Location: 16 km N Orellana, Ecuador 54715
|
|